

‘Wheeled’ hazards on the Coastal Path…?
1. Coastal Path Update: A section of the Coastal Way path adjacent to the Semaphore Palais has been closed to cycling for over 2 years due to OH&S concerns for staff and patrons. Planning contractors GHD have now contacted the PortBUG with a proposed design for a ‘bypass’ through the coastal dunes and around the Semaphore Palais pavilion (see below). GHD will be conducting a consultation process with stakeholders, including the PortBUG, over the next few weeks. We welcome your comments, feedback and suggestions to portadbug@gmail.com.

Proposed ‘Palais Bypass’ on the Coastal Way at Semaphore.
2. New Bike Laws: SA has a new set of cycling laws aimed at reducing motor-traffic hazards and allowing more flexible bicycle use on footpaths. And perhaps for the first time in South Australia, DPTI has publicly stated what has been widely acknowledged by European governments for years – that “cyclists have less protection than motorists and are more likely to be injured if a crash happens, so they need adequate space when on the road.”

Proposed Greenway bypass route on Port Road.
3. South Road Greenway Crossing: The PortBUG has written to Transport Minister Stephen Mullighan expressing dismay at the lack of ‘forward provision’ for a safe Greenway route through South Road’s Torrens-to-Torrens project site – either via a crossing at South Road or via the already proposed ‘bypass’ on Port Road (see right). Even though major works on the Torrens-to-Torrens project have already begun it appears that there are no plans for any bypass, and indeed we’re told that its planning may not even begin until the latter half of 2016! We have asked the Minister to address the safety issues faced by Greenway users as a matter of priority and will let you know the outcome.
4. PA/E Bike Plan Priorities: The new draft PA/E Bike Plan now has a recommended Action Plan or set of priorities for bicycle infrastructure. We’re told that the plan and these recommendations will go to Council for approval at the December PA/E Council meeting. The PortBUG has discussed priorities for 2016 and 2017 with Council officers and we’ve now provided our short term recommendations to them in writing. Please have a look and let us know what you think.
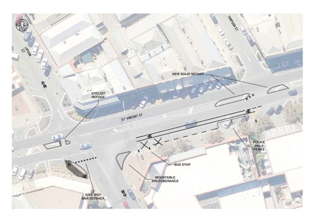
5. Plans for Lipson Street Bike Crossing: PA/E Council has been working on a design to carry the Outer Harbour Greenway through the Port’s waterfront precinct to the river crossing over the bridge. An essential part of this has been finding a way for bicycle-borne visitors, especially those unfamiliar with the Port, to safely proceed from the Railyards Pathway to the waterfront via Lipson Street, the major obstacle being the uncontrolled crossing at busy St Vincent’s St. Port Council have come up with a plan!

Proposed Greenway crossings at St Vincent Street, Port Adelaide.
The idea is that bicycle users will proceed North from Lipson St to a corner refuge on the left side of the Lipson/St Vincent’s Street junction (lower left of the picture above), and then proceed via a mid-road refuge to the narrowed entrance to Lipson Street North. Because this section of Lipson St will be one way, cyclists coming from the other direction will proceed to St Vincent’s Street via Timpson St (top right of picture), thence to Lipson by a right then left turn and a new section of bike lane. That’s the theory anyway! The PortBUG welcomes your comments which we’ll pass on to the Port Council, or you can comment directly (to ‘attention: Shaun Dewaal’).
6. New Bike Lanes on Old Port Road: Following completion of the ‘Waterproofing the West’ project the PortBUG wrote to DPTI and the Minister seeking installation of bicycle facilities on the newly rebuilt rOld Port Road. At the time we were told that the engineering of the new wetlands left no room for bike lanes. We have continued our lobbying and it now appears the situation has changed. DPTI recently completed installation of timed bike lanes on Old Port Road between the Frederick Road junction and the Y-junction with Port Road.

Median reserve bicycle access – Old Port to Port Road. This photo taken a few weeks ago before completion!
We have also sought safer provision for City-bound bicycle users at the ‘Y’ junction where Old Port joins up with Port Road. DPTI have constructed an oblique paved pathway from the left-hand kerb of Old Port Road through the median reserve to the right-hand kerb of Port Road. Preliminary use suggests that it may work quite well. A comment from one of our members suggests “I did… check the sight line for emerging on to Port Road, it is excellent. When I used it there were vehicles leaving an off street car parking lot almost adjacent, so care is needed to be taken to ensure visibility and merging.” Your comments are welcome as we’d like to offer DPTI some feedback in the New Year.
Final Thought for 2016:


